Bouwgrond - Te koop

€ 155.000
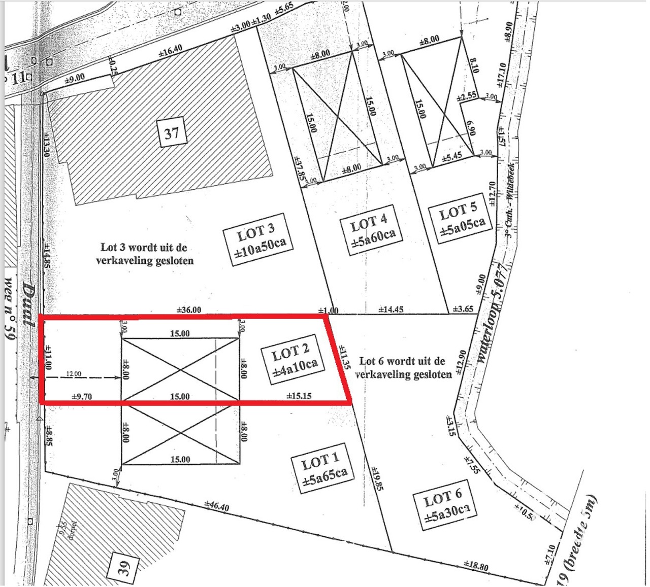
Daal 37C, 9450 Haaltert
409m²

Omschrijving

Prachtig gelegen, zuidgerichte bouwgrond met vergunning!

Deze bouwgrond op een prachtige locatie geniet de perfecte oriëntatie (Zuid). Op de grond is een uitvoerbare vergunning en plan beschikbaar voor een unieke halfopen bebouwing. Het terrein van 4a 09ca is landelijk en zeer rustig gelegen te Denderhoutem met zicht op het groen. Dit alles op wandelafstand van diverse winkels (o.a. Proxy Delhaize, slager, bakker, ..) & scholen. Nabij oprit E40, station Ninove en Haaltert. Voornaamste voorschriften: bouwzone max 15m, kroonlijsthoogte max 6m.

Neem contact met ons op voor alle mogelijkheden en inzage in het plan via het nummer 054 23 53 83 of info@localsvastgoed.be

Lees meer

Financieel

  • Prijs: € 155.000,00
  • Onder BTW stelsel: Nee
  • Beschikbaarheid: Vanaf akte
  • Kadastraal inkomen: € 4,00
  • Servitude: Nee

Terrein

  • Grondoppervlakte: 409,00 m²
  • Terreindiepte: 36,00 m

Stedenbouw

  • Bestemming: Woongebied met landelijk karakter
  • Bouwvergunning: Nee
  • Verkavelingsvergunning: Ja
  • Voorkooprecht: Nee
  • Dagvaarding: Nee - geen rechterlijke herstelmaatregel of bestuurlijke maatregel opgelegd
  • P-score: C
  • Vonnissen: Nee

Ligging

  • Buurt: Landelijk, rustig
  • School nabij: Ja
  • Winkels nabij: Ja
  • Openbaar vervoer nabij: Ja
  • Autosnelweg nabij: Ja

Gebouw

  • Staat: Nieuw

Meer info over deze eigendom

Bedankt voor je bericht, we contacteren je zo spoedig mogelijk.
Er was een probleem bij het versturen van het formulier, gelieve opnieuw te proberen.


Jouw woning ook verkopen/verhuren? Contacteer ons